1. каталог Private-Bookers
  2. Образование и наука
  3. Книга "Хазария и Терек"
Хазария и Терек
Читать

Хазария и Терек

Гумилев Лев Николаевич

Ландшафт и этнос [2]

Образование и наука

:

история

.
1964 г.

Наши исследования, посвященные установлению функциональной связи явлений физической географии и палеоэтнологии на материале истории Центральной Азии и археологии дельты Волги, позволили сделать следующие выводы:

1. Историческая судьба изучаемой народности, являющаяся результатом его (данного народа) хозяйственной деятельности, непосредственно связана с динамическим состоянием вмещающего ландшафта.

2. Археологическая культура (данного народа), представляющая собой кристаллический след его исторической судьбы, отражает палеогеографическое состояние ландшафта в эпоху, поддающуюся абсолютной датировке.

3. Сочетание исторических и археологических материалов позволяет судить о характере данного вмещающего ландшафта в изучаемую эпоху и, следовательно, о направлении его изменений. И наоборот, наличие установленных данных о колебаниях климата, а тем самым и о соотношениях ландшафтов между собой дает возможность отыскания памятников давно исчезнувших народов.

4. При таком подходе становится возможным историко-географический синтез, на базе которого можно будет делать прогнозы, имеющие хозяйственное значение.

Проверке этих положений была посвящена полевая работа Северокаспийской палеогеографической экспедиции; НИГЭИ ЛГУ и Хазарской археологической экспедиции Государственного Эрмитажа в 1963 г. Нужно было доказать также и то, что сформулированные положения имеют не локальный, а докуменальный характер, и могут быть прослежены за пределами дельты Волги. Объектом исследования была избрана долина Терека, где древности изучены недостаточно и хазарские памятники до сих пор не были открыты, а именно они представляют наибольшее значение для решения поставленной проблемы.

Условные обозначения

Рис. 1. Терская Хазария в VIII–XII вв.

Широкая долина Терека, согласно всем историческим источникам, была населена хазарами. В V–VI вв. эта страна называлась Барсилия и, по мнению византийских хронистов Феофана и Никифора, здесь находилась родина хазар. [1, с.130] Там же, на берегу Терека [1, с.399] располагался богатый город Семендер, разрушенный Святославом. [1, с.444] Следовательно, хазары обитали в этой области не менее 400 лет.

1

Артамонов М. И. История хазар. Изд. Гос. Эрмитажа, Л., 1962.

1

Артамонов М. И. История хазар. Изд. Гос. Эрмитажа, Л., 1962.

1

Артамонов М. И. История хазар. Изд. Гос. Эрмитажа, Л., 1962.

Однако более точная локализация Терской Хазарии встретила ряд трудностей физико-географического характера.

Как всякая текущая в широтном направлении река, Терек блуждает по широкой равнине, затопляя те или иные участки степи. Даже теперь, когда русло Терека укреплено дамбами, долина его в низовьях затопляется почти ежегодно. Разливы реки делали эту местность непригодной для оседлых поселений, особенно в I тысячелетии н. э., когда степная зона Евразии переживала эпоху увлажнения. Значит, хазарские поселения должны были располагаться по среднему течению Терека, в том месте, где ногайские песчаные дюны ограничивают с севера речную долину и дают населению возможность не бояться наводнений. На окраине этих песков ныне расположены станицы гребенских казаков, бывших такими же виноградарями, охотниками и воинами, как средневековые хазары.

Между закраиной песков и широколиственным лесом, окаймляющим Терек, тянется полоса степей шириной от 3 до 10 км. Ныне это единственно населенная часть долины. Итак, на левом берегу Терека сочетаются четыре микроландшафта: густой лес, сухая степь, песчаная пустыня и ниже заливные луга с порослями камыша. Разумеется, за 2000 лет соотношение этих микроландшафтов менялось, и археологические памятники позволят проследить характер изменений.

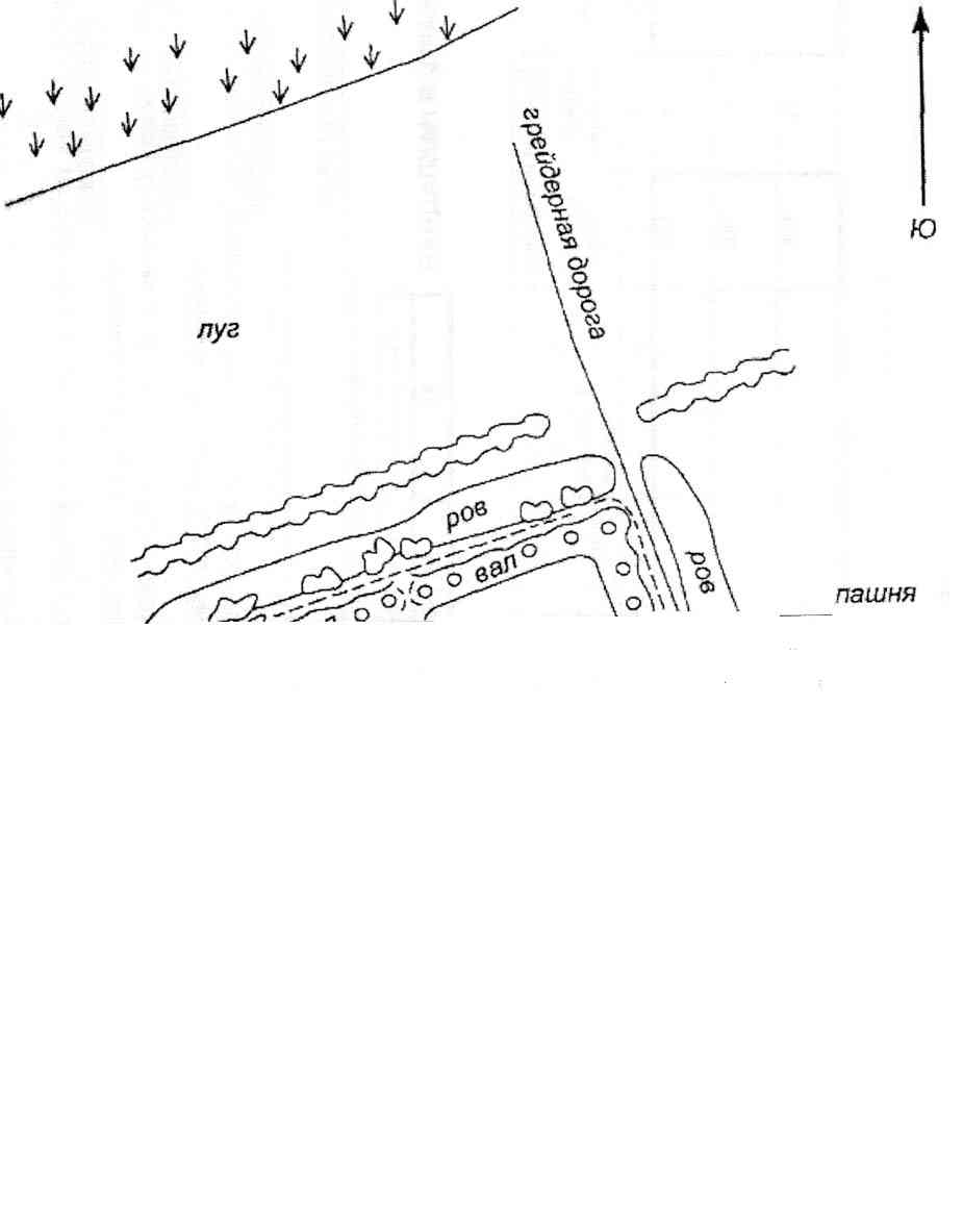
На очерченной территории после I века н. э. существовали четыре культуры: сармато-аланская, близкая к ней по технике изготовления керамики хазарская, ногайская и русская. Сармато-алано-хазарская культура, датирующаяся I тысячелетием н. э., представлена двумя городищами в степной зоне: одно — выше станицы Шелковской, другое — у пос. Кордоновки, ниже Кизляра. Оба городища находятся на берегах стариц Терека, окружены валами из саманного кирпича, расплывшимися до естественного уклона, и рвами, заплывшими почти до краев. Разнятся они по плану, керамическому материалу и местоположению. Крепость у Кордоновки (см. рис. 2) — овал, вытянутый вдоль сухого русла. Керамика внутри ее двух типов: 1) черноглинная, изготовленная на гончарном круге, плохо прожженная, орнаментированная, с лощением и с венчиком, отогнутым наружу, сосуды большие, плоскодонные; 2) сероглинная, лепная, хорошо прожженная, лощеная. Оба типа находят аналоги: в сарматской керамике I–II вв. Городище находится посреди широкой равнины, образованной наносами Терека, в верхней части его дельты. Крепость у станицы Шелковской (см. рис. 3) представляет правильный квадрат. Длина стороны — 200 м. Посреди каждого вала — ворота, по сторонам которых расширения для башен. Кроме того, на каждой стороне по 8 оснований башен. Ров шириной в 50 и глубиной 1,5 м обходит стены со всех сторон, и, поскольку высота валов колеблется от 5,5 до 6,0 м, крепость представляет солидное сооружение. Керамика внутри крепости сероглинная, изготовленная на гончарном круге, тонкостенная, частично лощенная, очень хорошо прожженная. Сосуды большие, с венчиком, отогнутым наружу, — видимо, они употреблялись для хранения пищи и воды. Ближайшая аналогия этой керамики — керамика салтовской культуры. Эта крепость была сооружена позднее, чем описанная выше. Об этом говорит и планировка — жесткий квадрат, без учета особенностей рельефа, тогда как крепость у Кордоновки имеет валы, повторяющие изгибы старицы, на берегу которой она стоит.

Рис. 2. План крепости у пос. Кардановка.

Рис. 3. План крепости у станицы Шелковской, разрез вала и рва.

Самое интересное заключается в том, что крепость у Кордоновки расположена на гладкой равнине, подверженной наводнениям. Следовательно, время ее сооружения совпадает с эпохой усыхания аридной зоны, т. е. с II–IV вв., когда аланы вели войну с гуннами и нуждались в крепостях [прим. 1] . В эту эпоху низовья Терека при его тогдашнем маловодье могли быть заселены местными жителями, но при очередном увлажнении (V–X вв.) это стало невозможно. В это время обитатели долины Терека хазары избрали местом поселения окраину ногайских песков, где мы находим следы их поселений и огромные скопления керамики.

1

Гунны победили алан, «истомив их бесконечной войной» (Иордан). Окончательная победа была ими достигнута в 370 г. В 46З г. из-за Волги на Северный Кавказ вторглись сарагуры, победившие гуннов, и родственные им барсилы, обосновавшиеся в Прикаспии. Остатки гуннов, смешавшиеся с местными сарматами, — это хазары (Артамонов М. И. История хазар. Изд. Гос. Эрмитажа, Л., 1962). Около 567 г. хазары подчинились тюркютам и вместе с ними совершили походы в Закавказье, а также участвовали в их распрях. После падения Западно-Тюркютского каганата хазары основали свой, сохранив престол за династией Ашина.

Кроме поздней ногайской, керамика здесь двух типов — серая и бурая (от обжига поверхности), что характерно для хазарских могильников на Волге, где оба типа встречаются вместе. Орнамент довольно примитивный — насечка или волна, прочерченная под отогнутым наружу венчиком. Сосуды большие, с гладкими стенками и плоским дном, исключительно лепные. Толстостенные, пористые, они больше, чем нижневолжские, так как служили для хранения воды, чего в дельте Волги не требовалось. Скопления фрагментов керамики обследованы у станиц Червленой, Щедринской, Гребенской и Каргалинской, на окраине песчаной возвышенности. Глубже в песках, на второй гряде дюн, встречена лишь поздняя, ногайская керамика — розовая, хорошо прожженная, звонкая, напоминающая татарскую керамику XIV в.

  • Читать дальше
  • 1
  • 2
  • 3
  • 4

Ландшафт и этнос

Хазария и Каспий
Хазария и Терек
По поводу предмета исторической географии
Гетерохронность увлажнения Евразии в древности
Гетерохронность увлажнения Евразии в древности
Гетерохронность увлажнения Евразии в Средние века
Гетерохронность увлажнения Евразии в Средние века

Private-Bookers - русскоязычная библиотека для чтения онлайн. Здесь удобно открывать книги с телефона и ПК, возвращаться к сохраненной странице и держать любимые произведения под рукой. Материалы добавляются пользователями; если считаете, что ваши права нарушены, воспользуйтесь формой обратной связи.

Моя полка

  • Моя полка

Связаться

  • help@private-bookers.win